This consolidation is unofficial and is for reference only.  For the official version of the regulations, consult the original documents on file with the Office of the Registrar of Regulations, or refer to the Royal Gazette Part II.
Regulations are amended frequently.  Please check the list of Regulations by Act to see if there are any recent amendments to these regulations filed with our office that are not yet included in this consolidation.
Although every effort has been made to ensure the accuracy of this electronic version, the Office of the Registrar of Regulations assumes no responsibility for any discrepancies that may have resulted from reformatting.
This electronic version is copyright © , Province of Nova Scotia, all rights reserved.  It is for your personal use and may not be copied for the purposes of resale in this or any other form.


New Harbour Provincial Park Designation

made under clauses 8(a) and (d) of the

Provincial Parks Act

R.S.N.S. 1989, c. 367

O.I.C. 2024-60 (effective February 13, 2024), N.S. Reg. 38/2024



Table of Contents


Please note: this table of contents is provided for convenience of reference and does not form part of the regulations.
Click here to go to the text of the regulations.

 

 

Schedule “A”: New Harbour Provincial Park



 


The Governor in Council on the report and recommendation of the Minister of Natural Resources and Renewables dated December 22, 2023, and pursuant to clauses 8(a) and (d) of Chapter 367 of the Revised Statutes of Nova Scotia, 1989, the Provincial Parks Act, is pleased, effective on and after February 13, 2024, to

 

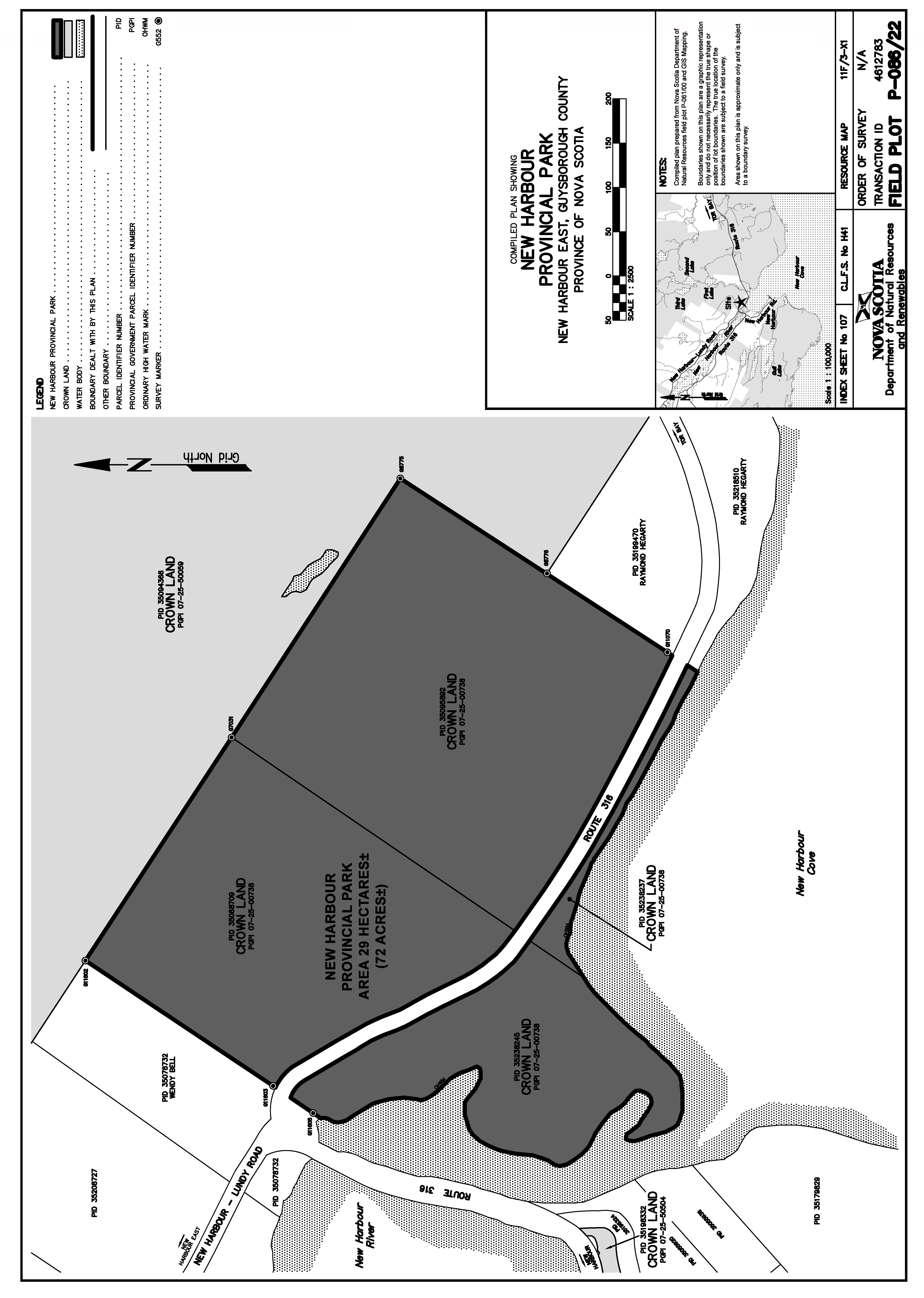
(a)      designate approximately 29 hectares (72 acres) of Crown lands in Guysborough County, currently identified as PIDs 35068709, 35238245, 35238237 and 35095892 shown outlined in bold and shaded dark grey on the plan marked Schedule “A” attached to and forming part of the report and recommendation and declare that it be known as New Harbour Provincial Park; and

 

(b)      authorize the Minister of Natural Resources and Renewables to execute such documents as may be necessary to achieve the purposes of this Order.


Schedule “A”

New Harbour Provincial Park


Graphic showing map of New Harbour Provincial Park

 

 


 

Legislative History
Reference Tables

New Harbour Provincial Park Designation

N.S. Reg. 38/2024

Provincial Parks Act

Note:  The information in these tables does not form part of the regulations and is compiled by the Office of the Registrar of Regulations for reference only.

Source Law

The current consolidation of the New Harbour Provincial Park Designation made under the Provincial Parks Act includes all of the following regulations:

N.S.
Regulation

In force
date*

How in force

Royal Gazette
Part II Issue

38/2024

Feb 13, 2024

date specified

Feb 23, 2024

 

 

 

 

 

 

 

 

 

 

 

 

 

 

 

 

The following regulations are not yet in force and are not included in the current consolidation:

N.S.
Regulation

In force
date*

How in force

Royal Gazette
Part II Issue

 

 

 

 

 

 

 

 

 

 

 

 

*See subsection 3(6) of the Regulations Act for rules about in force dates of regulations.

Amendments by Provision

ad. = added
am. = amended

fc. = fee change
ra. = reassigned

rep. = repealed
rs. = repealed and substituted

Provision affected

How affected

..........................................................

 

 

 

 

 

 

 

 

 

Note that changes to headings are not included in the above table.

Editorial Notes and Corrections

 

Note

Effective
date

 

 

 

 

 

 

 

 

 

Repealed and Superseded

N.S.
Regulation

Title

In force
date

Repealed
date

 

 

 

 

Note:  Only regulations that are specifically repealed and replaced appear in this table.  It may not reflect the entire history of regulations on this subject matter.