This consolidation is unofficial and is for reference only.  For the official version of the regulations, consult the original documents on file with the Office of the Registrar of Regulations, or refer to the Royal Gazette Part II.
Regulations are amended frequently.  Please check the list of Regulations by Act to see if there are any recent amendments to these regulations filed with our office that are not yet included in this consolidation.
Although every effort has been made to ensure the accuracy of this electronic version, the Office of the Registrar of Regulations assumes no responsibility for any discrepancies that may have resulted from reformatting.
This electronic version is copyright © , Province of Nova Scotia, all rights reserved.  It is for your personal use and may not be copied for the purposes of resale in this or any other form.


1226 Cole Harbour Road Special Planning Area Order

made under Section 15 of the

Housing in the Halifax Regional Municipality Act

S.N.S. 2021, c. 21

N.S. Reg. 153/2024 (effective August 6, 2024)



Table of Contents


Please note: this table of contents is provided for convenience of reference and does not form part of the regulations.
Click here to go to the text of the regulations.

 

Schedule “A” Map of 1226 Cole Harbour Road Special Planning Area



 


Whereas the Executive Panel on Housing in the Halifax Regional Municipality has recommended that the area of the Halifax Regional Municipality delineated in the map attached as Schedule “A” be designated as a special planning area;


And whereas I am satisfied that the designation of the special planning area is required for the purpose of accelerating housing development in the Municipality;


Therefore, I order the following:

 

          1.      The area of the Halifax Regional Municipality delineated in the map attached as Schedule “A” is designated as a special planning area.

 

          2.      The special planning area may be referred to as the “1226 Cole Harbour Road Special Planning Area”.


This Order is effective on and after the date it is filed.


Dated and made Aug 6, 2024, at Halifax, Halifax Regional Municipality, Province of Nova Scotia.


sgd. John Lohr

Honourable John Lohr

Minister of Municipal Affairs and Housing




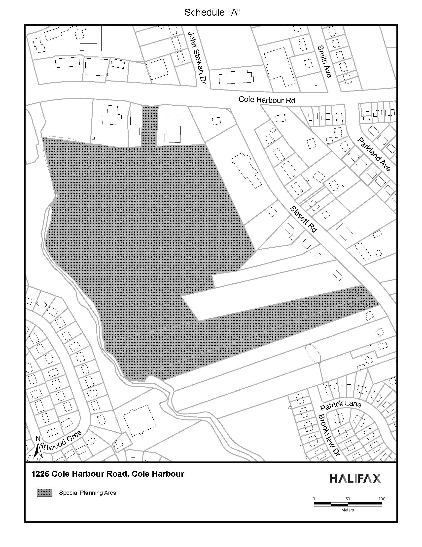
Schedule “A”

Map of 1226 Cole Harbour Road Special Planning Area



Graphic showing map of 1226 Cole Harbour Road Special Planning Area

 

 


 

Legislative History
Reference Tables

1226 Cole Harbour Road Special Planning Area Order

N.S. Reg. 153/2024

Housing in the Halifax Regional Municipality Act

Note:  The information in these tables does not form part of the regulations and is compiled by the Office of the Registrar of Regulations for reference only.

Source Law

The current consolidation of the 1226 Cole Harbour Road Special Planning Area Order made under the Housing in the Halifax Regional Municipality Act includes all of the following regulations:

N.S.
Regulation

In force
date*

How in force

Royal Gazette
Part II Issue

153/2024

Aug 6, 2024

date specified

Aug 23, 2024

 

 

 

 

 

 

 

 

 

 

 

 

 

 

 

 

The following regulations are not yet in force and are not included in the current consolidation:

N.S.
Regulation

In force
date*

How in force

Royal Gazette
Part II Issue

 

 

 

 

 

 

 

 

 

 

 

 

*See subsection 3(6) of the Regulations Act for rules about in force dates of regulations.

Amendments by Provision

ad. = added
am. = amended

fc. = fee change
ra. = reassigned

rep. = repealed
rs. = repealed and substituted

Provision affected

How affected

..........................................................

 

 

 

 

 

 

 

 

 

Note that changes to headings are not included in the above table.

Editorial Notes and Corrections

 

Note

Effective
date

 

 

 

 

 

 

 

 

 

Repealed and Superseded

N.S.
Regulation

Title

In force
date

Repealed
date

 

 

 

 

Note:  Only regulations that are specifically repealed and replaced appear in this table.  It may not reflect the entire history of regulations on this subject matter.